Av. Santiago Dasso

Av. Santiago Dasso, Bahía Blanca, Buenos Aires, 8000

QR Code
Descripción
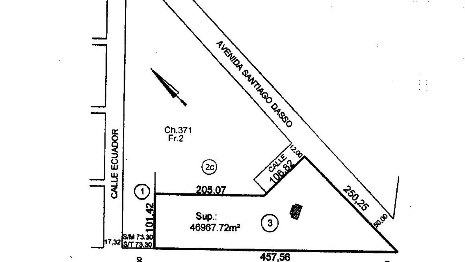
Fracción de tierras sobre Ruta Nacional Nº 3 y Av. Santiago Dasso (acceso puertos). Se trata de superficie en total de 55.592 m2. Mide y linda: 457,56 m de frente al SO, lindando con Camino enlace Ruta 3,33 y 35 con los puertos de Bahía Blanca; 250,25 m al E, lindando con Av Santiago Sasso; 106,82 m al N, lindando con parte de la parcela 2;205,07 m al NE, lindando con parte de la parcela 2; y 101,42 al NE, lindando con parte de la parcela 1. Parcela Catastral: Mide:457,56 de frente al SO linda con RUTA NACIONAL Nº 3 Mide: 250,25 m de frente al E linda con calle Avenida Santiago Dasso Mide: 205,07 m de costado al NE linda con parte parcela 2c Mide:101,42m de costado al NO linda con parte parcela 1 Puede dar financiación. SOLO CONSULTAS PERSONALES
Detalle
Tipo de Propiedad:
Terreno
Operación:
Venta
Precio:
U$D0
Ambientes:
0
Metros construidos:
0 m²
Área del lote:
0 m²
Año de construcción:
0
Ubicación
Calle:
Av. Santiago Dasso
Piso:
0
País:
ar
Provincia:
Buenos Aires
Ciudad:
8000
Código postal:
8000
Longitud:
W63° 43' 46.2''
Latitude:
S39° 13' 55.3''
Terreno Venta
Metros construidos:
0 m²
U$D0
Contacto

    [current_url]